CASA INDIPENDENTE TRICAMERE CON ANNESSO FABBRICATO AL GREZZO E TERRENO EDIFICABILE Mereto di Tomba
Codice annuncio 229069
95.000 €
Indirizzo 33036 Mereto di Tomba (UD) Superficie 345 Mq
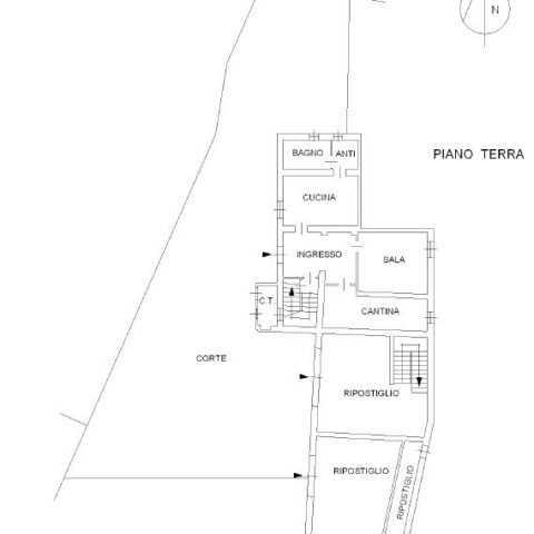
SuperficieDall’architettura tipica friulana, casa indipendente con annesso fabbricato allo stato grezzo, corte recintata di circa 200 mq e adiacente soleggiato terreno EDIFICABILE di ulteriori 1.100 mq. La casa si dispone su due livelli più la soffitta: al piano terra troviamo la zona giorno, un bagno e una cantina; salendo poi al piano primo si accede alla zona notte composta da tre camere da letto, un utile ripostiglio ed un panoramico terrazzo. Il fabbricato al grezzo, disposto su due piani, è suddiviso in vari vani che, una volta ristrutturati, offrono ulteriore spazio e la possibilità di realizzare una seconda unità abitativa. Rif. 229069
Caratteristiche
- Superficie commerciale: 345 Mq
- Riscaldamento: Gasolio
- Locali: 6
- Cucina abitabile




















































